Importante
A tradução é um esforço comunitário você pode contribuir. Esta página está atualmente traduzida em 93.44%.
5. Captura de Dados
Objetivos |
Aprenda como criar e editar dados vetoriais e atributos. |
|
Palavras chave: |
Editando, captura de dados, cabeçalhos, tabela, base de dados |
5.1. Visão Geral
Nos dois tópicos anteriores demos uma olhada nos dados vetoriais. Nós vimos que existem dois conceitos chave para dados vetoriais, designadamente: geometria e atributos. A geometria de um elemento vetorial descreve a sua forma e posição, enquanto que os atributos de um elemento vetorial descreve as suas propriedades (cor, tamanho, idade etc.).
In this section we will look more closely at the process of creating and editing vector data — both the geometry and attributes of vector features.
5.2. Como é que os dados digitais SIG são armazenados?
Processadores de texto, folhas de cálculos e pacotes de gráficos são todos os programas que permitem criar e editar dados digitais. Cada tipo de aplicação salva os seus dados para um formato de arquivo particular. Por exemplo, um programa de gráficos te deixará salvar os seus desenhos como .jpg imagem JPEG , os processadores de texto deixarão você salvar o documento como um .odt OpenDocument ou .doc Documento Word, e assim por diante.
Just like these other applications, GIS Applications can store their data in files on the computer hard disk. There are a number of different file formats for GIS data, but the most common one is probably the ‘shape file’. The name is a little odd in that although we call it a shape file (singular), it actually consists of at least three different files that work together to store your digital vector data, as shown in Tabela 5.1.
Extensão |
Descrição |
|---|---|
|
A geometria dos elementos do vetor são armazenadas neste arquivo |
|
Os atributos dos elementos vetoriais são armazenados neste arquivo |
|
Este arquivo é um index que ajuda a aplicação SIG a encontrar os elementos mais rapidamente. |
Quando você olhar para os arquivos que compõem um shapefile no disco rígido do computador, você verá algo como Fig. 5.46. Se você deseja compartilhar dados vetoriais armazenados em shapefiles com outra pessoa, é importante fornecer a ela todos os arquivos dessa camada. Então, no caso da camada de árvores mostrada em Fig. 5.46, você precisará fornecer para a pessoa trees.shp, trees.shx, trees.dbf, trees.prj e trees.qml.
Fig. 5.46 Os arquivos que fazem a ’árvore’ da shapefile é vista como um gerenciador de arquivos do computador.
Muitas Aplicações SIG são também capazes de armazenar dados digitais dentro de uma base de dados. Geralmente, armazenar dados SIG numa base de dados é uma boa solução porque a base de dados pode armazenar grandes quantidades de dados de forma eficaz e pode fornecer dados à Aplicação SIG rapidamente. Usando uma base de dados permite também várias pessoas trabalharem com as mesmas camadas de dados vectoriais ao mesmo tempo. Configurando a base de dados para armazenar dados SIS é mais complicado que usar shapefiles, por isso para este tópico iremos apenas focar na criação e edição de shapefiles.
5.3. Planeje antes de começar
Antes de criar uma nova camada vetorial (que será armazenada numa shapefile), vai necessitar de conhecer que geometria de camada irá ser (ponto, linha ou polígono), e necessita de saber que atributos a camada vai ter. Vamos dar uma vista de olhos em alguns exemplos e será mais claro como iremos proceder.
5.3.1. Exemplo 1: Criar um mapa de turismo
Imagine que quer criar um mapa bonito sobre o turismo para a sua área local. A sua visão do mapa final é uma carta topográfica de 1:50.000 com marcadores sobrepostos para sítios de interesse para turistas. Primeiro, vamos pensar na geometria. Sabemos que podemos representar uma camada vetorial usando elementos de pontos, linhas ou polígonos. Qual deles faz mais sentido no seu mapa de turismo? Podemos usar pontos se queremos marcar localizações específicas como pontos de observação, memoriais, locais de batalha e por aí adiante. Se queremos que os turistas prossigam ao longo de uma rota, como por exemplo uma rota cénica atravessando uma montanha, terá mais sentido usar linhas. Se tem áreas fechadas que são de interesse turístico, como por exemplo, uma reserva natural ou uma vila cultural, a melhor escolha será usar os polígonos .
Como você pode ver, muitas vezes não é fácil saber que tipo de geometria você precisará. Uma abordagem comum para esse problema é criar uma camada para cada tipo de geometria que você precisa. Então, por exemplo, se você olhar para os dados digitais fornecidos pelo Chief Directorate: Surveys and Mapping, South Africa, eles fornecem uma camada de áreas fluviais (polígonos) e uma camada de polilinhas de rios. Eles usam as áreas do rio (polígonos) para representar trechos do rio que são largos e usam polilinhas de rio para representar trechos estreitos do rio. Em Fig. 5.47 podemos ver como nossas camadas de turismo se aparentariam em um mapa caso usemos todos os três tipos de geometria.
Fig. 5.47 Um mapa com camadas de turismo. Nós usamos três tipos de geometria para os dados de turismo para que de forma apropriada pudéssemos representar diferentes tipos de elementos necessários para os visitantes, dando a eles toda a informação que necessitam.
5.3.2. Exemplo 2: Criar um mapa dos níveis de poluição ao longo do rio
Se quer medir os níveis de poluição ao longo do curso do rio pode viajar ao longo do rio no barco ou caminhar ao longo da sua margem. Em intervalos regulares pode parar e recolher várias medições como por exemplo, níveis de Oxigénio Dissolvido (DO), contagem de Bactérias Coliformes (BC), níveis de turbidez e pH. Pode também de precisar de fazer uma leitura do mapa para saber a sua posição ou obter a sua posição com um receptor GPS.
Para armazenar os dados recolhidos de um exercício como este numa Aplicação SIG, provavelmente deverá ter de criar uma camada SIG com geometria do tipo ponto. Usando a geometria do tipo ponto faz todo o sentido porque cada amostra recolhida representa as condições num local específico.
For the attributes we would want a field for each thing that describes the sample site. So we may end up with an attribute table that looks something like Tabela 5.2.
Número da Amostra |
pH |
DO |
CB |
Turbidez |
Colector |
Data |
|---|---|---|---|---|---|---|
1 |
7 |
6 |
N |
Baixo |
Patience |
12/01/2009 |
2 |
6.8 |
5 |
Y |
Médio |
Thabo |
12/01/2009 |
3 |
6.9 |
6 |
Y |
Alto |
Victor |
12/01/2009 |
Drawing a table like Tabela 5.2 before you create your vector layer will let you decide what attribute fields (columns) you will need. Note that the geometry (positions where samples were taken) is not shown in the attribute table — the GIS Application stores it separately!
5.4. Criando uma shapefile vazia
Uma vez planeado os elementos que quer usar para a captura para o SIG, e o tipo de geometria e os atributos que cada elemento devem ter, pode seguir para o próximo passo que é a criação de uma shapefile vazia.
O processo geralmente começa com a escolha da opção ‘nova camada vetorial’ em sua Aplicação GIS e depois selecionando um tipo de geometria (ver Fig. 5.48). Como abordamos em um tópico anterior, isto significa escolher um ponto, polilinha ou polígono para a geometria.
Fig. 5.48 Criar uma nova camada vetorial é tão simples como preencher em poucos detalhes um formulário. Primeiro escolha o tipo de geometria, e de seguida adiciona os campos dos atributos.
Next you will add fields to the attribute table. Normally we give field names that are short, have no spaces and indicate what type of information is being stored in that field. Example field names may be ‘pH’, ‘RoofColour’, ‘RoadType’ and so on. As well as choosing a name for each field, you need to indicate how the information should be stored in that field — i.e. is it a number, a word or a sentence, or a date?
O programa de computador normalmente chama a informação que faz as palavras ou frases ‘cadeias de texto’, portanto se necessitar de armazenar alguma coisas como nome da rua ou o nome do rio, deve usar ‘Texto’ para o tipo de campo.
The shapefile format allows you to store the numeric field information as either a whole number (integer) or a decimal number (floating point) — so you need to think before hand whether the numeric data you are going to capture will have decimal places or not.
O passo final (como mostrado em Fig. 5.49) para criar um shapefile é dar a ele um nome e um local no disco rígido do computador no qual ele deve ser criado. Mais uma vez, é uma boa ideia dar ao shapefile um nome curto e significativo. Bons exemplos são ‘rios’, ‘amostras de água’ e assim por diante.
Fig. 5.49 Após definirmos a geometria e atributos da nossa camada, nós necessitamos de salvar no disco. É importante dar um nome curto mas com significado à sua shapefile.
Vamos recapitular rapidamente o processo outra vez. Para criar uma shapefile pode primeiro dizer que tipo de geometria irá conter, e de seguida criar um ou mais campos para a tabela de atributos, e de seguida salvar a shapefile no disco rígido usando um nome fácil de reconhecer. Fácil como 1-2-3!
5.5. Adicionando dados à sua shapefile
Até agora só criamos uma shapefile vazia. Agora necessitamos de ativar a edição na shapefile usando a opção do menu ‘ativar edição’ ou o ícone da barra de ferramentas na Aplicação SIG. As shapefiles não estão ativas para edição por defeito para prevenir alterações ou eliminação de dados acidentalmente que possam conter. De seguida necessitamos de iniciar a adição de dados. Existem dois passos que necessitamos de completar para cada registo que queremos adicionar à shapefile:
Capturando a geometria
Introduzindo os atributos
O processo de captura de geometria é diferente para os pontos, polilinhas e polígonos.
Para capturar um ponto, você primeiro usa as ferramentas de panorâmica e zoom do mapa para chegar à área geográfica correta cuja se registrará os dados. Em seguida, você precisará habilitar a ferramenta de captura de ponto. Tendo feito isso, o próximo local em que você clicar com o botão esquerdo do mouse na visualização do mapa é onde deseja que sua nova geometria de ponto apareça. Depois de clicar no mapa, uma janela aparecerá e você poderá inserir todos os dados de atributo para aquele ponto (veja Fig. 5.50). Se você não tiver certeza dos dados de um dado campo, geralmente pode deixá-lo em branco, mas lembre-se de que, se deixar muitos campos em branco, será difícil fazer um mapa útil a partir de seus dados!
Fig. 5.50 Depois de ter capturado a geometria do tipo ponto, será-lhe pedido para descrever os atributos. O formulário do atributo é baseado nos campos que especificou quando criou a camada vetorial.
Para capturar uma polilinha o processo é semelhante ao de um ponto, na medida em que primeiro é preciso usar as ferramentas de pan e zoom para mover o mapa na visualização do mapa para a área geográfica correta. Você deve fazer zoom suficiente para que seu novo recurso de polilinha vetorial tenha uma escala apropriada (veja Dado Vetorial para mais detalhes sobre questões de escala). Quando estiver pronto, você pode clicar no ícone de captura da polilinha na barra de ferramentas e então começar a desenhar sua linha, clicando no mapa. Após fazer seu primeiro clique, você notará que a linha se estica como uma faixa elástica para seguir o cursor do mouse à medida que você a move. Cada vez que você clicar com o botão esquerdo do mouse***, um novo vértice será adicionado ao mapa. Este processo é mostrado em Fig. 5.51.
Fig. 5.51 Capturar linhas para um mapa de turismo. Quando edita uma camada do tipo linha, os vértices são exibidos com marcadores circulares que pode mover com o rato para ajustar a geometria da linha. Quando adicionado nova linha (exibida a vermelho), cada clique do mouse irá adicionar um novo vértice.
Quando acabar de definir a sua linha, use o botão direito do mouse para dizer à Aplicação SIG que acabou as suas edições. Assim como o procedimento para a captura do elemento do tipo ponto, será-lhe pedido para introduzir dados do atributo para o seu novo elemento linha.
O processo de capturar um polígono é quase o mesmo que capturar uma linha exceto quando necessita de usar a ferramenta de captura de polígonos na barra de ferramentas. Além disso, irá reparar quando desenhar a sua geometria na tela, a Aplicação SIG cria sempre uma área fechada.
Para adicionar um novo elemento depois de ter criado o primeiro, poderá simplesmente clicar outra vez no mapa com a ferramenta de captura ativa no ponto, linha ou polígono e começar a desenhar o seu próximo elemento.
Quando não tiver mais elementos para adicionar, tenha sempre o cuidado de clicar no ícone ‘permitir edição’ para alternar para o modo desligado. A Aplicação SIG irá salvar a sua camada recentemente criada no disco rígido.
5.6. Orientar a digitalização
Como você provavelmente já deve ter descoberto se seguiu as etapas acima, é muito difícil desenhar as feições de modo que fiquem espacialmente corretos se você não tiver outras feições que possa usar como ponto de referência. Uma solução comum para esse problema é usar uma camada raster (como uma fotografia aérea ou uma imagem de satélite) como camada de plano de fundo. Você pode então usar esta camada como um mapa de referência ou até mesmo traçar as feições da camada raster para a sua camada vetorial, caso estejam visíveis. Esse processo é conhecido como ‘digitalização heads-up’ e é mostrado em Fig. 5.52.
Fig. 5.52 Orientar a digitalização usando uma imagem de satélite como fundo. A imagem é usado como referência para a captura de elementos linha através do seu traçado.
5.7. Digitalização usando uma mesa de digitalização
Outro método de capturar dados vetoriais é usar uma mesa digitalizadora. Essa abordagem é comumente menos usada, exceto por profissionais de GIS, e requer equipamentos caros. O processo de usar uma mesa digitalizadora é colocar um mapa de papel sobre a mesa. O mapa de papel é mantido firmemente no lugar usando clipes. Em seguida, um dispositivo especial chamado ‘disco’ é usado para rastrear as feições do mapa. Minúsculos retículos no disco são usados para garantir que linhas e pontos sejam desenhados com precisão. O disco é conectado a um computador e cada feição capturada usando o disco é armazenada na memória do computador. Você pode ver a aparência de um disco de digitalização em Fig. 5.53.
Fig. 5.53 Uma mesa de digitalização e mira são usadas por profissionais SIG quando têm que digitalizar elementos a partir de mapas existentes.
5.8. Após os seus elementos serem digitalizados…
Uma vez os seus elementos estarem digitalizados, pode usar técnicas que aprendeu no tópico anterior para configurar a simbologia para a sua camada. Escolher a simbologia apropriada irá permitir-lhe um melhor entendimento dos dados que capturou quando olha para o mapa.
5.9. Problemas comuns / coisas que devemos estar cientes
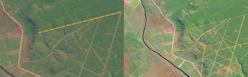
Se você estiver digitalizando usando uma camada de fundo raster como uma fotografia aérea ou imagem de satélite, é muito importante que a camada raster seja devidamente georreferenciada. Uma camada que seja georreferenciada adequadamente exibe na posição correta na visualização do mapa com base no modelo interno da aplicação GIS da Terra. Podemos ver o efeito de uma imagem mal georreferenciada em Fig. 5.54.
Fig. 5.54 A importância de usar imagens matriciais adequadamente bem georreferenciadas para digitalização na tela. Na esquerda podemos ver que a imagem está adequadamente bem registada e que os elementos da estrada (em laranja) sobrepõem-se perfeitamente. Se uma imagem estiver fracamente georreferenciada (como é mostrado na direita) os elementos não serão bem alinhados. Mais grave ainda, se a imagem da direita for usada como referência aquando da captura de novos elementos, os novos dados capturados serão inexatos!
Lembre-se também que é importante que esteja ampliada numa escala apropriada para que os elementos do vetor que criou seja úteis. Como vimos no tópico anterior na geometria vetorial, é má ideia digitalizar os seus dados quando estão numa ampliação a uma escala de 1:1.000.000 se pretende usar os dados que capturou numa escala de 1:50.000 ou inferior a esta.
5.10. O que aprendemos?
Para encerar vamos ver o que abordamos na lista abaixo:
Digitalizar é o processo de captura para obter conhecimento dos elementos geometria e atributos para um formato digital armazenado no disco rígido do computador.
Os dados SIG podem ser armazenados numa base de dados ou em arquivos.
O formato de arquivo mais comum é a shapefile que actualmente é um grupo de três ou mais arquivos (
.shp,.dbfe.shx).Antes de criar uma nova camada vetorial necessita de planear o tipo de geometria e os campos dos atributos que serão contidos.
A geometria pode ser ponto, linha ou polígono.
Os atributos podem ser inteiros (números inteiros), pontos flutuantes (números decimais), cadeias de texto (palavras) ou datas.
O processo de digitalização consiste no desenhar de uma geometria na vista do mapa e de seguida introduzir os seus atributos. Isto repete-se para cada elemento.
A digitalização na tela é frequentemente usada para providenciar orientação durante a digitalização recorrendo a uma imagem matricial como fundo.
Os utilizadores profissionais de SIG algumas vezes usam uma mesa de digitalização para capturar informação a partir de mapas em formato papel.
5.11. Agora é sua vez de tentar!
Aqui estão algumas idéias para você experimentar com os seus alunos:
Desenhe uma lista de elementos dentro e ao redor da sua escola que ache interessante capturar. Por exemplo: o limite da escola, a posição de pontos do sistema de alarme de incêndio, a disposição de cada sala de aula, e etc. Tente usar uma mistura de diferentes tipos de geometria. A seguir divida os alunos em grupos e atribua a cada grupo alguns elementos para capturar. Faça-os simbolizar as camadas de modo a que sejam expressivas à observação. Combine as camadas de todos os grupos de modo a criar um mapa da escola e arredores!
Encontre um rio local e retire amostras de água ao longo do seu curso. Faça uma nota da posição de cada amostra usando um GPS ou marcando a posição num mapa topográfico. Para cada amostra realize medidas tais como pH, oxigénio dissolvido, etc. Capture os dados usando uma aplicação SIG e crie mapas que apresentem as amostras com uma simbologia apropriada. Consegue identificar algumas áreas com problemas? A aplicação SIG foi capaz de ajudá-lo a identificar essas áreas?
5.12. Algo para se pensar
Se não tiver um computador disponível, poderá seguir o mesmo processo usando folhas transparentes e um computador portátil. Use uma impressão de fotografia aérea, imagem ortoretificada ou imagem de satélite como camada de fundo. Desenhe colunas e escreva cabeçalhos nas colunas, para cada campo de atributos que queira armazenar informação. A seguir trace a geometria de elementos na folha transparente, escrevendo um número identificador para cada elemento de modo a ser identificado. A seguir escreva o mesmo número na primeira coluna da sua tabela no computador portátil, e preencha toda a restante informação que queira gravar.
5.13. Leitura complementar
O Guia do Usuário QGIS tem informações mais detalhadas sobre digitação de dados vetoriais no QGIS.
5.14. Qual é o próximo?
Na seção que se segue nós iremos abrager mais detlhadamente os dados matriciais para aprender tudo sobre como os dados de imagem podem ser usados no SIG.
