Important
Traducerea este un efort al comunității, la care puteți să vă alăturați. În prezent, această pagină este tradusă 86.07%.
5. Captura datelor
Obiective: |
Aflați cum să creați și să editați datele vectoriale și ale atributelor. |
|
Cuvinte cheie: |
Editare, captură de date, notificări, tabelă, bază de date. |
5.1. Prezentare generală
În cele două teme anterioare am discutat despre datele vectoriale. Am văzut că există două concepte cheie pentru datele vectoriale, și anume: geometrie și atribute. Geometria unei entități spațiale vectoriale descrie forma și poziția sa, în timp ce atributele descriu proprietățile sale (culoare, dimensiune, vârstă etc).
In this section we will look more closely at the process of creating and editing vector data — both the geometry and attributes of vector features.
5.2. Cum sunt depozitate datele digitale GIS?
Procesoarele de texte, foile electronice de calcul și pachetele grafice sunt programe care permit crearea și editarea datelor digitale. Fiecare tip de aplicație salvează datele într-un format special de fișier. De exemplu, un program de grafică permite salvarea desenului ca .jpg imagine JPEG, un procesor de text permite salvarea documentului ca .odt OpenDocument sau ca .doc Document Word, și așa mai departe.
Just like these other applications, GIS Applications can store their data in files on the computer hard disk. There are a number of different file formats for GIS data, but the most common one is probably the «shape file». The name is a little odd in that although we call it a shape file (singular), it actually consists of at least three different files that work together to store your digital vector data, as shown in Tabelul 5.1.
Extensie |
Descriere |
|---|---|
|
Geometria entităților vectoriale este stocată în acest fișier |
|
Atributele entităților vectoriale sunt stocate în acest fișier |
|
Acest fișier reprezintă un index care ajută aplicația GIS la găsirea mai rapidă a entităților spațiale. |
When you look at the files that make up a shapefile on the computer hard disk,
you will see something like Fig. 5.46. If you want to share vector data
stored in shapefiles with another person, it is important to give them all of
the files for that layer. So in the case of the trees layer shown in Fig. 5.46,
you would need to give the person trees.shp, trees.shx,
trees.dbf, trees.prj and trees.qml.
Fig. 5.46 Fișierele care alcătuiesc fișierul shape «trees», așa cum se vede în managerul de fișiere al computerului.
Multe aplicații GIS sunt, de asemenea, capabile de a stoca date digitale în interiorul unei baze de date. În general, stocarea datelor GIS într-o bază de date este o soluție bună, deoarece, în acest fel, datele se pot stoca în cantitate mare, într-un mod eficient, și pot fi transmise rapid către aplicațiile GIS. Bazele de date permit, de asemenea, accesul simultan al mai multor persoane la aceleași straturi de date vectoriale. Instalarea unei baze de date pentru a stoca date GIS este însă mult mai complicată decât utilizarea unui fișier shape, așa că, în continuare, ne vom concentra pe crearea și editarea fișierelor shape.
5.3. Planificați înainte de a începe
Înainte de crea un nou strat vectorial (care va fi stocat într-un fișier shape), trebuie să cunoașteți geometria stratului (punct, polilinie sau poligon) și atributele stratului. Analizând câteva exemple va deveni mult mai clar cum se face acest lucru.
5.3.1. Exemplul 1: Crearea unei hărți turistice
Imaginați-vă că doriți să creați o hartă turistică, frumoasă, a zonei în care locuiți. Harta finală ar trebui să fie alcătuită dintr-o pagină topografică, la scara 1:50 000, având suprapuse marcaje pentru site-urile de interes turistic. În primul rând, va trebui să ne gândim la geometrie. Știm că un strat vectorial se poate reprezenta utilizând punctul, polilinia sau poligonul. Care dintre aceste entități spațiale ar avea mai mult sens pentru o hartă turistică? Am putea folosi punctele pentru a marca locații specifice, cum ar fi puncte de observație, monumente, câmpuri de luptă și așa mai departe. Dacă ne-am dori să ghidăm turiștii de-a lungul unei rute, cum ar fi un traseu pitoresc de munte, ar avea sens să utilizăm poliliniile. Dacă zone întregi, cum ar fi o rezervație naturală sau o așezare rurală, sunt de interes turistic, atunci cea mai bună alegere ar fi poligoanele.
As you can see it’s often not easy to know what type of geometry you will need. One common approach to this problem is to make one layer for each geometry type you need. So, for example, if you look at digital data provided by the Chief Directorate: Surveys and Mapping, South Africa, they provide a river areas (polygons) layer and a rivers polyline layer. They use the river areas (polygons) to represent river stretches that are wide, and they use river polylines to represent narrow stretches of river. In Fig. 5.47 we can see how our tourism layers might look on a map if we used all three geometry types.
Fig. 5.47 O hartă cu straturi turistice. Am folosit trei tipuri de geometrie diferite pentru date, astfel încât să putem reprezenta în mod corespunzător diferitele tipuri de caracteristici necesare vizitatorilor noștri, oferindu-le toate informațiile de care au nevoie.
5.3.2. Exemplul 2: Crearea unei hărți a nivelurilor de poluare de-a lungul unui râu
Dacă ați dori să măsurați nivelurile de poluare pe parcursul unui râu, veți călători, de obicei, într-o barcă sau pe jos, de-a lungul malurilor sale. La intervale regulate, v-ați opri și ați efectua măsurători diferite, cum ar fi nivelul oxigenului dizolvat (DO), numărul de bacterii coliforme (CB), nivelurile de turbiditate si pH-ul. Ar trebui, de asemenea, să dați hărții posibilitatea a vă identifica poziția, sau să o obțineți folosind un receptor GPS.
Pentru a stoca într-o aplicație GIS datele colectate în urma acestui gen de activitate, probabil că ați crea un strat GIS cu o geometrie de tip punct. Folosirea geometriei de tip punct este logică, deoarece fiecare probă prelevată reprezintă condițiile particulare ale unei locații.
For the attributes we would want a field for each thing that describes the sample site. So we may end up with an attribute table that looks something like Tabelul 5.2.
NrExemplu |
pH |
DO |
CB |
Turbiditate |
Colector |
Data |
|---|---|---|---|---|---|---|
1 |
7 |
6 |
N |
Scăzut |
Patience |
12/01/2009 |
2 |
6.8 |
5 |
Y |
Mediu |
Thabo |
12/01/2009 |
3 |
6.9 |
6 |
Y |
Ridicat |
Victor |
12/01/2009 |
Drawing a table like Tabelul 5.2 before you create your vector layer will let you decide what attribute fields (columns) you will need. Note that the geometry (positions where samples were taken) is not shown in the attribute table — the GIS Application stores it separately!
5.4. Crearea unui fișier shape vid
O dată ce ați planificat caracteristicile pe care le doriți în GIS, precum și tipul de geometrie și atributele pe care fiecare element ar trebui să le aibă, puteți trece la următorul pas, de a crea un fișier shape vid.
The process usually starts with choosing the «new vector layer» option in your GIS Application and then selecting a geometry type (see Fig. 5.48). As we covered in an earlier topic, this means choosing either point, polyline or polygon for the geometry.
Fig. 5.48 Crearea unui nou strat vectorial este la fel de simplă ca și completarea câtorva detalii într-un formular. În primul rând se alege tipul de geometrie și apoi se adăugă câmpurile cu atribute.
Next you will add fields to the attribute table. Normally we give field names that are short, have no spaces and indicate what type of information is being stored in that field. Example field names may be «pH», «RoofColour», «RoadType» and so on. As well as choosing a name for each field, you need to indicate how the information should be stored in that field — i.e. is it a number, a word or a sentence, or a date?
În programele de calculator, de obicei, informațiile alcătuite din cuvinte sau fraze sunt denumite «șiruri de caractere», așa că, dacă aveți nevoie să stocați, de exemplu, un nume de stradă sau numele unui râu, ar trebui să utilizați «String» pentru tipul câmpului.
The shapefile format allows you to store the numeric field information as either a whole number (integer) or a decimal number (floating point) — so you need to think before hand whether the numeric data you are going to capture will have decimal places or not.
Ultimul pas (după cum se arată în Fig. 5.49) pentru a crea un fișier shape este specificarea unui nume și a unei locații pe hard disk-ul calculatorului în care ar trebui să fie creat. Încă o dată, este bine să alegeți un nume scurt și semnificativ. Exemple: «Râuri», «ProbeDeApă», și așa mai departe.
Fig. 5.49 După definirea geometriei și atributelor noul strat, acesta trebuie salvat pe disc. Este importantă atribuirea unui nume scurt, dar semnificativ.
Să recapitulăm rapid procesul. Pentru a crea un fișier shape specificați mai întâi tipul geometriei, apoi creați unul sau mai multe câmpuri în tabela de atribute, și salvați fișierul shape pe hard disk, folosind un nume ușor de recunoscut. Ușor ca 1-2-3!
5.5. Adăugarea de date la fișierul dvs. shape.
Până acum s-a creat doar un fișier shape vid. Urmează activarea editării în fișierul shape, folosindu-se opțiunea de meniu «permite editarea» sau pictograma specifică din bara de instrumente a aplicației GIS. Editarea în fișierele shape nu este activată în mod implicit, pentru a preveni schimbarea sau ștergerea accidentală a datelor conținute. Apoi se poate începe adăugarea de date. Există doi pași care trebuie parcurși pentru fiecare înregistrare care se adaugă în fișierul shape:
Capturarea geometriei
Introducere atribute
Procesul de capturare a geometriei este diferit pentru puncte, polilinii și poligoane.
To capture a point, you first use the map pan and zoom tools to get to the correct geographical area that you are going to be recording data for. Next you will need to enable the point capture tool. Having done that, the next place you click with the left mouse button in the map view, is where you want your new point geometry to appear. After you click on the map, a window will appear and you can enter all of the attribute data for that point (see Fig. 5.50). If you are unsure of the data for a given field you can usually leave it blank, but be aware that if you leave a lot of fields blank it will be hard to make a useful map from your data!
Fig. 5.50 După ce ați capturat geometria punctului, vi se va cere să descrieți atributele sale. Formularul atributelor conține câmpurile specificate atunci când ați creat stratul vectorial.
To capture a polyline the process is similar to that of a point, in that you need to first use the pan and zoom tools to move the map in the map view to the correct geographical area. You should be zoomed in enough so that your new vector polyline feature will have an appropriate scale (see Datele Vectoriale for more details on scale issues). When you are ready, you can click the polyline capture icon in the tool bar and then start drawing your line by clicking on the map. After you make your first click, you will notice that the line stretches like an elastic band to follow the mouse cursor around as you move it. Each time you click with the left mouse button, a new vertex will be added to the map. This process is shown in Fig. 5.51.
Fig. 5.51 Captura liniilor pentru o hartă turistică. Când editați un strat de tip linie, nodurile sunt afișate ca simboluri circulare pe care le puteți deplasa cu mouse-ul, pentru a ajusta geometria liniei. Atunci când se adaugă o linie nouă (colorată în roșu), fiecare click al mouse-ului va adăuga un nod nou.
Când ați terminat definirea liniei, folosiți butonul din dreapta, al mouse-ului pentru a indica aplicației GIS că ați încheiat modificările. Ca și în cazul procedurii de captură a entității de tip punct, veți fi rugat să introduceți datele atributale pentru noua entitate de tip polilinie.
Procesul de captură a unui poligon este aproape similar ca și capturarea unei polilinii, cu excepția faptului că se utilizează instrumentul de captură a poligoanelor, prezent în bara de instrumente. De asemenea, veți observa că atunci când desenați geometria pe ecran, aplicația GIS creează întotdeauna o zonă închisă.
Pentru a adăuga o nouă entitate spațială după ce ați creat-o pe prima, pur și simplu, puteți să faceți un nou clic pe hartă, lăsând instrumentul de captură activ, punct, polilinie sau poligon.
Când nu aveți mai multe entități de adăugat, întotdeauna asigurați-vă că ați dezactivat pictograma «permite editarea». În acel moment aplicația GIS va salva layer-ul nou creat pe hard disk.
5.6. Digitizarea dirijată
As you have probably discovered by now if you followed the steps above, it is pretty hard to draw the features so that they are spatially correct if you do not have other features that you can use as a point of reference. One common solution to this problem is to use a raster layer (such as an aerial photograph or a satellite image) as a backdrop layer. You can then use this layer as a reference map, or even trace the features off the raster layer into your vector layer if they are visible. This process is known as «heads-up digitising» and is shown in Fig. 5.52.
Fig. 5.52 Digitalizare dirijată, utilizând o imagine din satelit ca fundal. Imaginea este utilizată ca referință pentru captura de polilinii, prin trasarea peste ele.
5.7. Utilizarea mesei de digitizare
Another method of capturing vector data is to use a digitising table. This approach is less commonly used except by GIS professionals, and it requires expensive equipment. The process of using a digitising table, is to place a paper map on the table. The paper map is held securely in place using clips. Then a special device called a «puck» is used to trace features from the map. Tiny cross-hairs in the puck are used to ensure that lines and points are drawn accurately. The puck is connected to a computer and each feature that is captured using the puck gets stored in the computer’s memory. You can see what a digitising puck looks like in Fig. 5.53.
Fig. 5.53 O masă de digitizare și un puck sunt utilizate de către profesioniștii GIS, atunci când doresc să digitalizeze entități ale hărților existente.
5.8. După digitizarea entităților spațiale…
O dată ce entitățile sunt digitizate, puteți utiliza tehnicile învățate în capitolul anterior pentru a seta simbolistica pentru stratul dvs. Alegerea unor simboluri adecvate vă va permite să înțelegeți mai bine datele pe care le-ați capturat atunci când priviți harta.
5.9. Probleme comune / lucruri pe care trebuie să le cunoașteți
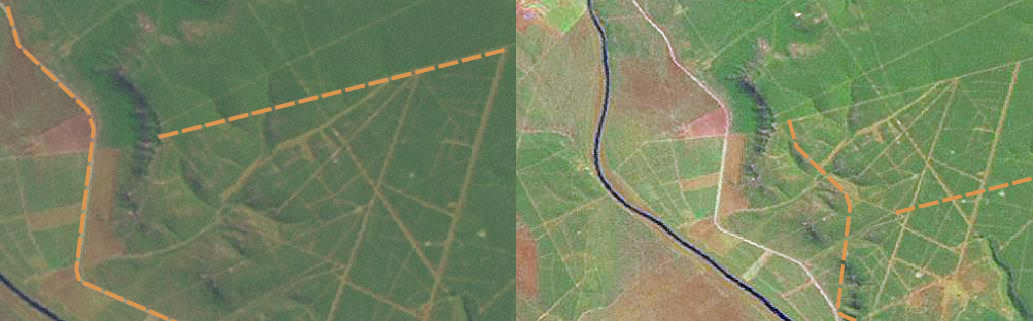
If you are digitising using a backdrop raster layer such as an aerial photograph or satellite image, it is very important that the raster layer is properly georeferenced. A layer that is georeferenced properly displays in the correct position in the map view based on the GIS Application’s internal model of the Earth. We can see the effect of a poorly georeferenced image in Fig. 5.54.
Fig. 5.54 Importanța utilizării imaginilor raster, corect georeferențiate, în digitizarea dirijată. În stânga se poate vedea că imaginea este afișată corect iar entitățile rutiere (în portocaliu) se suprapun perfect. Dacă precizia georeferențierii este scăzută (așa cum se arată în partea dreaptă), entitățile nu vor fi bine aliniate. Mai rău, în cazul în care imaginea din dreapta este utilizată ca referință, este faptul că entitățile spațiale nou capturate vor fi inexacte!
De asemenea, amintiți-vă că este important să lucrați la o scară adecvată, astfel încât entitățile vectorului pe care le creați să fie utile. După cum am văzut în subiectul anterior, la geometria vectorului, nu este bine să digitizați date la o scară de 1:1000 000, dacă ulterior intenționați să le folosiți la o scară de 1:50 000.
5.10. Ce am învățat?
Să recapitulăm subiectele abordate în acest capitol:
Digitizarea reprezintă procesul de captură a informațiilor despre geometria și atributele entităților spațiale, precum și stocarea acestora într-un format digital pe discul calculatorului.
Datele GIS pot fi stocate într-o bază de date sau ca fișiere.
Un format utilizat în mod obișnuit este shapefile, care grupează, de fapt, trei sau mai multe fișiere (
.shp,.dbfand.shx).Înainte de a crea un nou strat vectorial, trebuie să planificați atât tipul geometriei cât și câmpurile atributale pe care le va conține.
Geometria poate fi de tip punct, polilinie sau poligon.
Atributele pot fi de tip întreg (numere întregi), virgulă mobilă (numere zecimale), șiruri de caractere (cuvinte) sau dată.
Procesul de digitizare constă în desenarea geometriei în spațiul dedicat hărții, urmată de introucerea atributelor sale. Acest lucru se repetă pentru fiecare entitate spațială.
Digitizarea ghidată este folosită adeseori, asigurând orientarea necesară prin utilizarea unei imagini raster în fundal.
Utilizatorii GIS profesioniști folosesc uneori o masă de digitizare, pentru a captura informațiile din hărțile tipărite.
5.11. Încercați acum!
Aici sunt câteva idei care pot fi testate împreună cu elevii dumneavoastră:
Întocmiți o listă de entități dîn și în jurul școlii, pe care credeți că ar fi interesant să le capturați. De exemplu: suprafața ocupată de școală, poziția pichetelor de incendiu, poziționarea claselor, și așa mai departe. Încercați să folosiți diferite tipuri de geometrie. Împărțiți studenții dvs. în grupuri și alocați fiecărui grup câteva caracteristici de capturat. Alocați simboluri straturilor, pentru a fi mai facil de interpretat. Combinați straturile tuturor grupurilor într-o hartă frumoasă a școalii și a împrejurimilor sale!
Găsiți un râu în apropiere, și luați probe de apă de-a lungul său. Înregistrați cu atenție poziția fiecărei probe cu ajutorul unui GPS sau prin marcarea pe o hartă. Pentru fiecare probă, efectuați mșurători, cum ar fi pH-ul, oxigenul dizolvat etc. Capturați datele folosind aplicația GIS și creați hărțile care să arate probele folosind o simbolistică adecvată. Ați putea identifica toate zonele de interes? A fost aplicația GIS capabilă să vă ajute la identificarea acestor domenii?
5.12. De reținut
Dacă nu aveți un calculator la dispoziție, puteți urma același proces, utilizând coli transparente și un carnețel. Folosiți o fotografie aeriană, un fotoplan sau o imagine din satelit ca strat de fundal. Trasați un tabel în carnețel și alegeți ca titluri de coloane atributele informațiilor pe care doriți să stocați. Trasați geometriile entităților pe foaia transparentă, notând un număr lângă fiecare entitate, astfel încât să poată fi identificate. Apoi, scrieți același număr în prima coloană din tabelul din carnețel, după care completați toate informațiile suplimentare pe care doriți să înregistrați.
5.13. Lecturi suplimentare
The QGIS User Guide has more detailed information on digitising vector data in QGIS.
5.14. Ce urmează?
În secțiunea care urmează, vom arunca o privire mai atentă la datele raster pentru a afla totul despre modul în care datele de tip imagine pot fi utilizate în GIS.
