Viktigt
Översättning är en gemenskapsinsats du kan gå med i. Den här sidan är för närvarande översatt till 93.44%.
5. Datainsamling
Mål: |
Lär dig hur du skapar och redigerar vektor- och attributdata. |
|
Nyckelord: |
Redigering, datafångst, heads-up, tabell, databas. |
5.1. Översikt
I de två föregående avsnitten tittade vi på vektordata. Vi såg att det finns två nyckelbegrepp för vektordata, nämligen: geometri och attribut. Geometrin för en vektorfunktion beskriver dess form och position, medan attributen för en vektorfunktion beskriver dess egenskaper (färg, storlek, ålder etc.).
In this section we will look more closely at the process of creating and editing vector data — both the geometry and attributes of vector features.
5.2. Hur lagras digitala GIS-data?
Ordbehandlare, kalkylblad och grafikpaket är alla program som låter dig skapa och redigera digitala data. Varje typ av program sparar sina data i ett visst filformat. I ett grafikprogram kan du t.ex. spara din teckning som en JPEG-bild i formatet .jpg, i ordbehandlingsprogram kan du spara ditt dokument som ett OpenDocument i formatet .odt eller ett Word-dokument i formatet .doc osv.
Just like these other applications, GIS Applications can store their data in files on the computer hard disk. There are a number of different file formats for GIS data, but the most common one is probably the ’shape file’. The name is a little odd in that although we call it a shape file (singular), it actually consists of at least three different files that work together to store your digital vector data, as shown in Table 5.1.
Filändelse |
Beskrivning |
|---|---|
|
Geometrin för vektorfunktioner lagras i den här filen |
|
Attributen för vektorfunktionerna lagras i den här filen |
|
Den här filen är ett index som hjälper GIS-programmet att hitta funktioner snabbare. |
När du tittar på filerna som utgör en shapefil på datorns hårddisk kommer du att se något i stil med Fig. 5.46. Om du vill dela vektordata som lagras i shapefiler med en annan person är det viktigt att ge dem alla filer för det lagret. Så i fallet med trädlagret som visas i Fig. 5.46 måste du ge personen trees.shp, trees.shx, trees.dbf, trees.prj och trees.qml.
Fig. 5.46 Filerna som utgör en shapefil för ”träd” som de ser ut i datorns filhanterare.
Många GIS-applikationer kan också lagra digitala data i en databas. I allmänhet är det en bra lösning att lagra GIS-data i en databas eftersom databasen kan lagra stora mängder data effektivt och snabbt kan tillhandahålla data till GIS-applikationen. Genom att använda en databas kan också många personer arbeta med samma vektordatalager samtidigt. Att skapa en databas för lagring av GIS-data är mer komplicerat än att använda shapefiler, så i det här avsnittet kommer vi att fokusera på att skapa och redigera shapefiler.
5.3. Planering innan du börjar
Innan du kan skapa ett nytt vektorlager (som lagras i en shapefil) måste du veta vilken geometri lagret ska ha (punkt, polylinje eller polygon), och du måste veta vilka attribut lagret ska ha. Låt oss titta på några exempel så kommer det att bli tydligare hur du ska gå tillväga för att göra detta.
5.3.1. Exempel 1: Skapa en turistkarta
Föreställ dig att du vill skapa en fin turistkarta för ditt lokala område. Din vision av den slutliga kartan är ett toposblad 1:50 000 med överlagrade markörer för platser som är intressanta för turister. Låt oss först fundera på geometrin. Vi vet att vi kan representera ett vektorlager med hjälp av punkt-, polylinje- eller polygonfunktioner. Vilket är mest meningsfullt för vår turistkarta? Vi kan använda punkter om vi vill markera specifika platser som utkiksplatser, minnesmärken, stridsplatser och så vidare. Om vi vill ta turisterna längs en rutt, t.ex. en naturskön rutt genom ett bergspass, kan det vara vettigt att använda polylinjer. Om vi har hela områden som är av intresse för turismen, till exempel ett naturreservat eller en kulturby, kan polygoner vara ett bra val.
Som du kan se är det ofta inte lätt att veta vilken typ av geometri du behöver. En vanlig metod för att lösa detta problem är att skapa ett lager för varje geometrityp som du behöver. Om du till exempel tittar på digitala data som tillhandahålls av Chief Directorate: Surveys and Mapping, South Africa, tillhandahåller de ett lager med flodområden (polygoner) och ett lager med flodpolylinjer. De använder flodområdena (polygoner) för att representera flodsträckor som är breda, och de använder flodpolylinjer för att representera smala flodsträckor. I Fig. 5.47 kan vi se hur våra turistlager kan se ut på en karta om vi använde alla tre geometrityperna.
Fig. 5.47 En karta med turismlager. Vi har använt tre olika geometrityper för turistdata så att vi på ett korrekt sätt kan representera de olika typer av funktioner som behövs för våra besökare och ge dem all den information de behöver.
5.3.2. Exempel 2: Skapa en karta över föroreningsnivåer längs en flod
Om du vill mäta föroreningsnivåerna längs en flod skulle du vanligtvis färdas längs floden i en båt eller gå längs dess stränder. Med jämna mellanrum stannar du och gör olika mätningar, t.ex. nivåer av upplöst syre (DO), antal koliforma bakterier (CB), turbiditetsnivåer och pH. Du skulle också behöva göra en kartavläsning av din position eller få din position med hjälp av en GPS-mottagare.
Om du vill lagra data från en övning som denna i en GIS-applikation skulle du förmodligen skapa ett GIS-lager med punktgeometri. Att använda punktgeometri är meningsfullt här eftersom varje prov som tas representerar förhållandena på en mycket specifik plats.
For the attributes we would want a field for each thing that describes the sample site. So we may end up with an attribute table that looks something like Table 5.2.
Provnr |
pH |
GÖR |
CB |
Turbiditet |
Samlare |
Datum |
|---|---|---|---|---|---|---|
1 |
7 |
6 |
N |
Låg |
Patience |
12/01/2009 |
2 |
6.8 |
5 |
Y |
Medium |
Thabo |
12/01/2009 |
3 |
6.9 |
6 |
Y |
Hög |
Victor |
12/01/2009 |
Drawing a table like Table 5.2 before you create your vector layer will let you decide what attribute fields (columns) you will need. Note that the geometry (positions where samples were taken) is not shown in the attribute table — the GIS Application stores it separately!
5.4. Skapa en tom shapefil
När du har planerat vilka funktioner du vill fånga in i GIS och vilken geometrityp och vilka attribut varje funktion ska ha, kan du gå vidare till nästa steg och skapa en tom shapefil.
Processen börjar vanligtvis med att välja alternativet ”nytt vektorlager” i din GIS-applikation och sedan välja en geometrityp (se Fig. 5.48). Som vi behandlade i ett tidigare ämne innebär detta att du väljer antingen punkt, polylinje eller polygon för geometrin.
Fig. 5.48 Att skapa ett nytt vektorlager är lika enkelt som att fylla i några uppgifter i ett formulär. Först väljer du geometrityp och sedan lägger du till attributfälten.
Next you will add fields to the attribute table. Normally we give field names that are short, have no spaces and indicate what type of information is being stored in that field. Example field names may be ’pH’, ’RoofColour’, ’RoadType’ and so on. As well as choosing a name for each field, you need to indicate how the information should be stored in that field — i.e. is it a number, a word or a sentence, or a date?
Datorprogram kallar vanligtvis information som består av ord eller meningar för ”strings”, så om du behöver lagra något som ett gatunamn eller namnet på en flod ska du använda ”String” som fälttyp.
The shapefile format allows you to store the numeric field information as either a whole number (integer) or a decimal number (floating point) — so you need to think before hand whether the numeric data you are going to capture will have decimal places or not.
Det sista steget (som visas i Fig. 5.49) för att skapa en shapefil är att ge den ett namn och en plats på datorns hårddisk där den ska skapas. Återigen är det en bra idé att ge shapefilen ett kort och meningsfullt namn. Bra exempel är ”rivers”, ”watersamples” och så vidare.
Fig. 5.49 När vi har definierat geometrin och attributen för vårt nya lager måste vi spara det på disken. Det är viktigt att du ger din shapefil ett kort men meningsfullt namn.
Låt oss snabbt sammanfatta processen igen. För att skapa en shapefil anger du först vilken typ av geometri den ska innehålla, sedan skapar du ett eller flera fält för attributtabellen och slutligen sparar du shapefilen på hårddisken med ett namn som är lätt att känna igen. Lika enkelt som 1-2-3!
5.5. Lägga till data i din shapefil
Hittills har vi bara skapat en tom shapefil. Nu måste vi aktivera redigering i shapefilen med hjälp av menyalternativet ”enable editing” eller ikonen i verktygsfältet i GIS-programmet. Shapefiler är inte aktiverade för redigering som standard för att förhindra att data som de innehåller ändras eller raderas av misstag. Nu måste vi börja lägga till data. Det finns två steg som vi måste slutföra för varje post som vi lägger till i shapefilen:
Fånga geometri
Ange attribut
Processen för att fånga geometri är olika för punkter, polylinjer och polygoner.
För att fånga en punkt använder du först kartans panorerings- och zoomverktyg för att komma till rätt geografiskt område som du ska registrera data för. Därefter måste du aktivera verktyget för punktinspelning. När du har gjort det klickar du med vänster musknapp på nästa ställe i kartvyn där du vill att den nya punktens geometri ska visas. När du har klickat på kartan visas ett fönster där du kan ange alla attributdata för den punkten (se Fig. 5.50). Om du är osäker på data för ett visst fält kan du vanligtvis lämna det tomt, men var medveten om att om du lämnar många fält tomma blir det svårt att göra en användbar karta från dina data!
Fig. 5.50 När du har fångat punktgeometrin kommer du att bli ombedd att beskriva dess attribut. Attributformuläret är baserat på de fält som du angav när du skapade vektorlagret.
För att fånga en polylinje är processen liknande den för en punkt, i det att du först måste använda panorerings- och zoomverktygen för att flytta kartan i kartvyn till rätt geografiskt område. Du bör zooma in tillräckligt för att din nya vektorpolylinjefunktion ska ha en lämplig skala (se Vektordata för mer information om skalfrågor). När du är klar kan du klicka på ikonen för polyline capture i verktygsfältet och sedan börja rita din linje genom att klicka på kartan. När du har gjort ditt första klick kommer du att märka att linjen sträcker sig som ett elastiskt band och följer muspekaren när du flyttar den. Varje gång du klickar med vänster musknapp läggs ett nytt toppunkt till på kartan. Denna process visas i Fig. 5.51.
Fig. 5.51 Fånga linjer för en turistkarta. När du redigerar ett linjelager visas hörnpunkterna med cirkulära markörer som du kan flytta runt med musen för att justera linjens geometri. När du lägger till en ny linje (visas i rött) kommer varje musklick att lägga till ett nytt toppunkt.
När du är klar med att definiera din linje använder du höger musknapp för att tala om för GIS-programmet att du är klar med redigeringen. På samma sätt som när du tar fram en punktfunktion kommer du att bli ombedd att ange attributdata för din nya polylinjefunktion.
Processen för att fånga en polygon är nästan densamma som för att fånga en polylinje, förutom att du måste använda verktyget för polygonfångst i verktygsfältet. Du kommer också att märka att när du ritar din geometri på skärmen skapar GIS-programmet alltid ett slutet område.
Om du vill lägga till en ny funktion efter att du har skapat den första kan du helt enkelt klicka på kartan igen med verktyget för punkt-, polylinje- eller polygoninhämtning aktivt och börja rita nästa funktion.
När du inte har några fler funktioner att lägga till ska du alltid klicka på ikonen ”allow editing” för att stänga av den. GIS-programmet sparar sedan ditt nyskapade lager på hårddisken.
5.6. Heads-up digitalisering
Som du säkert har upptäckt vid det här laget om du har följt stegen ovan är det ganska svårt att rita objekten så att de blir rymdmässigt korrekta om du inte har andra objekt som du kan använda som referenspunkt. En vanlig lösning på det här problemet är att använda ett rasterlager (t.ex. ett flygfoto eller en satellitbild) som bakgrundslager. Du kan sedan använda det här lagret som en referenskarta eller till och med spåra objekten från rasterlagret till ditt vektorlager om de är synliga. Den här processen kallas ”heads-up-digitalisering” och visas i Fig. 5.52.
Fig. 5.52 Heads-up-digitalisering med en satellitbild som bakgrund. Bilden används som referens för att fånga polylinjefunktioner genom att spåra över dem.
5.7. Digitalisering med hjälp av ett digitaliseringsbord
En annan metod för att fånga vektordata är att använda ett digitaliseringsbord. Denna metod är mindre vanlig, utom bland GIS-proffs, och kräver dyr utrustning. Processen med att använda ett digitaliseringsbord är att placera en papperskarta på bordet. Papperkartan hålls säkert på plats med hjälp av klämmor. Sedan används en speciell enhet som kallas ”puck” för att spåra funktioner från kartan. Små hårkors i pucken används för att se till att linjer och punkter ritas exakt. Pucken är ansluten till en dator och varje objekt som registreras med hjälp av pucken lagras i datorns minne. Du kan se hur en digitaliseringspuck ser ut i Fig. 5.53.
Fig. 5.53 Ett digitaliseringsbord och en puck används av GIS-proffs när de vill digitalisera objekt från befintliga kartor.
5.8. Efter att dina drag har digitaliserats…
När dina objekt har digitaliserats kan du använda de tekniker som du lärde dig i föregående avsnitt för att ställa in symbologin för ditt lager. Genom att välja en lämplig symbologi kan du bättre förstå de data som du har samlat in när du tittar på kartan.
5.9. Vanliga problem / saker att vara uppmärksam på
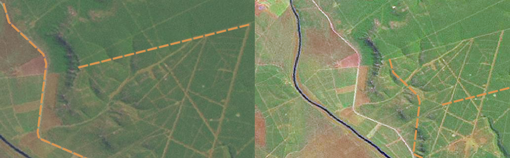
Om du digitaliserar med hjälp av ett bakgrundsrasterlager, t.ex. ett flygfoto eller en satellitbild, är det mycket viktigt att rasterlagret är korrekt georefererat. Ett lager som är georefererat på rätt sätt visas i rätt position i kartvyn baserat på GIS-applikationens interna modell av jorden. Vi kan se effekten av en dåligt georefererad bild i Fig. 5.54.
Fig. 5.54 Vikten av att använda korrekt georefererade rasterbilder för digitalisering med huvudet före. Till vänster ser vi att bilden är korrekt georegistrerad och att vägobjekten (i orange) överlappar varandra perfekt. Om bilden är dåligt georefererad (som visas till höger) kommer objekten inte att vara väl inriktade. Ännu värre är att om bilden till höger används som referens när nya funktioner ska registreras kommer de nyregistrerade uppgifterna att vara felaktiga!
Kom också ihåg att det är viktigt att du zoomar in till en lämplig skala så att de vektorfunktioner du skapar blir användbara. Som vi såg i det tidigare avsnittet om vektorgeometri är det en dålig idé att digitalisera dina data när du zoomar ut till en skala på 1:1000 000 om du senare tänker använda de data som du samlar in i en skala på 1:50 000.
5.10. Vad har vi lärt oss?
Låt oss sammanfatta vad vi behandlat i det här arbetsbladet:
Digitalisering är en process som innebär att kunskap om ett objekts geometri och attribut överförs till ett digitalt format som lagras på datorns hårddisk.
GIS-data kan lagras i en databas eller som filer.
Ett vanligt förekommande filformat är shapefile som egentligen är en grupp av tre eller flera filer (
.shp,.dbfoch.shx).Innan du skapar ett nytt vektorlager måste du planera både vilken geometri-typ och vilka attribut-fält det ska innehålla.
Geometri kan vara punkt, polylinje eller polygon.
Attribut kan vara integers (hela tal), floating points (decimaltal), strings (ord) eller dates.
Digitaliseringsprocessen består av att rita geometrin i kartvyn och sedan mata in dess attribut. Detta upprepas för varje funktion.
Heads-up digitising används ofta för att ge orientering under digitaliseringen genom att använda en rasterbild i bakgrunden.
Professionella GIS-användare använder ibland ett digitaliseringsbord för att samla in information från papperskartor.
5.11. Nu får du försöka!
Här är några idéer som du kan prova med dina elever:
Gör en lista över saker i och runt din skola som du tycker skulle vara intressanta att fånga. Till exempel: skolans gränser, placeringen av brandposter, utformningen av varje klassrum och så vidare. Försök att använda en blandning av olika geometrityper. Dela nu in eleverna i grupper och tilldela varje grupp några funktioner som de ska fånga. Låt dem symbolisera sina lager så att de blir mer meningsfulla att titta på. Kombinera lagren från alla grupper för att skapa en fin karta över din skola och dess omgivningar!
Leta upp en lokal flod och ta vattenprover längs med den. Anteckna noga varje provs position med hjälp av en GPS eller genom att markera den på ett toposblad. Gör mätningar för varje prov, t.ex. pH, upplöst syre osv. Samla in data med hjälp av GIS-programmet och skapa kartor som visar proverna med lämplig symbologi. Kan du identifiera några problemområden? Kunde GIS-applikationen hjälpa dig att identifiera dessa områden?
5.12. Något att tänka på
Om du inte har tillgång till en dator kan du följa samma process med hjälp av genomskinliga ark och en anteckningsbok. Använd en utskrift av ett flygfoto, ett ortosark eller en satellitbild som bakgrundslager. Rita kolumner längs sidan i anteckningsboken och skriv in kolumnrubrikerna för varje attributfält som du vill lagra information om. Rita nu upp geometrin för objekten på transparensarket och skriv ett nummer bredvid varje objekt så att det kan identifieras. Skriv nu samma nummer i den första kolumnen i tabellen i anteckningsboken och fyll sedan i all ytterligare information som du vill registrera.
5.13. Ytterligare läsning
I QGIS User Guide finns mer detaljerad information om digitalisering av vektordata i QGIS.
5.14. Vad kommer härnäst?
I avsnittet som följer kommer vi att titta närmare på rasterdata för att lära oss allt om hur bilddata kan användas i ett GIS.
